Featured Projects
Since the company’s founding in 2008, Gentry Land has had the opportunity to work on large and small projects spanning a vast array of services. The projects listed below are just a few that represent the company’s depth and scope of service offerings.
Starkey Ranch
Starkey Ranch is a 2,500-acre master-planned community in Pasco County, Florida, for which Gentry Land has partnered with Wheelock Street Capital to provide both asset management and land development services. For the Starkey Ranch project, Gentry Land evaluated the risk involved with the purchase of the property, negotiated the land purchase on behalf of its equity fund client, and developed the master plan for the community. As with any project, the Starkey Ranch development came with its own set of challenges and exceptions. After starting development in 2012, Gentry Land Company arranged for the rescinding of the Development of Regional Impact (DRI), rezoned the entire property and established a Community Development District (CDD) at Starkey Ranch.
In addition, Gentry Land developed, proposed and received approval for an innovative “P4 Agreement“ (Public-Public-Private-Public Agreement) between the Pasco County School Board, the Pasco County Library System, the Pasco County Parks & Recreation Department, and of course, Gentry Land, to negotiate a sale of the property that provided for a one-of-a-kind educational and recreational facility on the property. The Starkey Ranch District Park, now has a K-8 public school projected to open in summer 2021, with a black box theater and new library as well as the state-of-the-art park with multiple lighted multipurpose fields, a baseball field, playground, concessions stand and restroom facilities that area residents currently enjoy.
Since 2014, Gentry Land successfully contracted and sold over 2,500 entitled or developed residential lots to six major homebuilders. The vibrant community has continued to mature over the years and is now home to over 1,600 homeowners. It has been ranked as one of the Top 50 master planned communities in the US for the last three years. The most recent 2020 list recognized Starkey Ranch as #35 in the US, #10 in Florida and #1 in Tampa.
Gentry also played a critical role in negotiating the sale of numerous commercial parcels which will support approximately 200,000 sq ft of commercial/retail shops, a 384-unit apartment site, Publix-anchored grocer plaza, a future daycare location and a future 250,000 sq ft office site.
Center Lake Ranch
Center Lake Ranch is a 2,100-acre Mixed Use Master Plan Community located in St. Cloud, Florida. The project is approved for 3,140 single family homes, 800 multifamily units, 70,000 sq ft of Office, 170,000 sq ft of Retail and 40,000 sq ft of Community and Civic spaces.
The property owner has retained Gentry Land Company to assist them through the initial stages of the development. Gentry has provided guidance on the rescission of the DRI, annexation into the City, visioning and master planning, engineering and permitting of master infrastructure and organization of a Community Development District.
Additionally, GLC assisted in the offering and subsequent contract negotiations of the initial 1,200 single family lots to two national builders.
Randal Park
Located in the burgeoning Lake Nona area of Orlando, Randal Park is an 800-acre master-planned community that Gentry Land Company, in partnership with Wheelock Street Capital, developed starting in 2011 and completed the sale of in 2014. Gentry Land provided complete asset management for the Randal Park project, performing an array of services that included entitlement and zoning work, development, buyer identification and sale. The project involved several complicated elements that Gentry Land successfully navigated, including a cost-share road use agreement, the sale of property to the area’s public school system, negotiation and sale to multiple home builders for development, debt financing and establishment of a Community Development District (CDD).
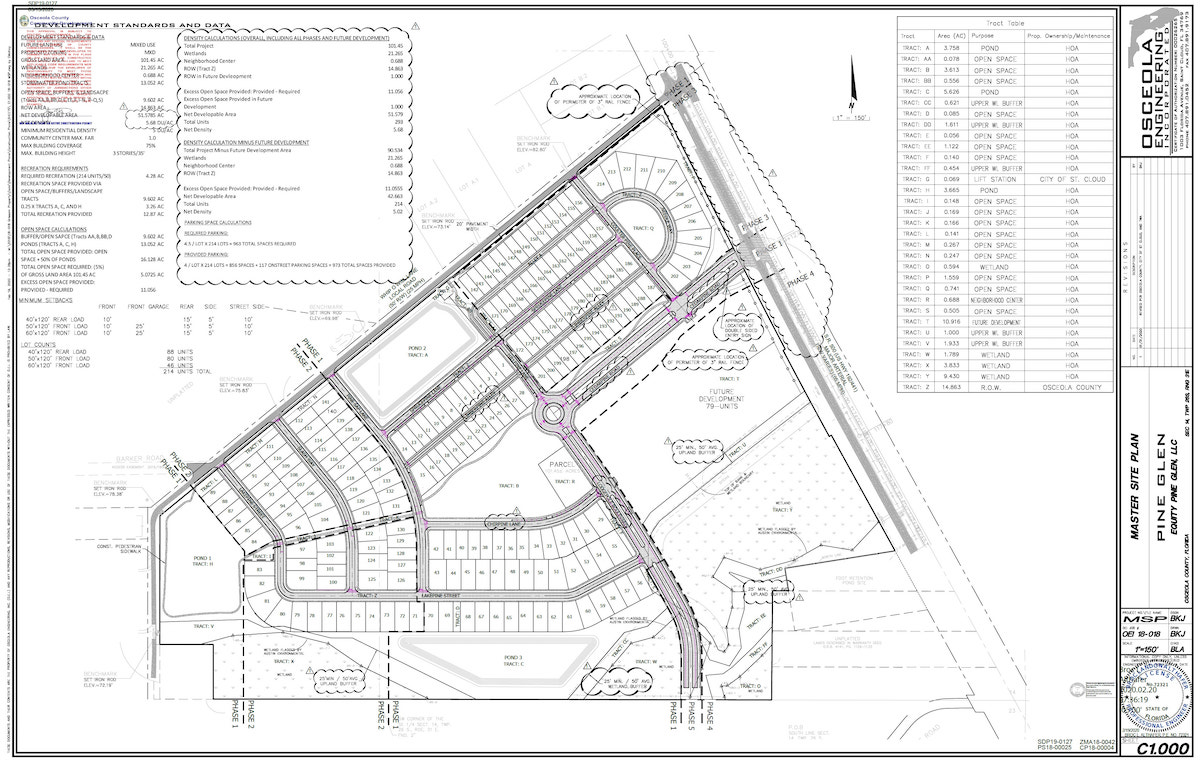
Pine Glen
Pine Glen is a 101-acre property with 293 single-family and villa lots located in Osceola County, FL. Gentry Land partnered with Equity Investments to purchase the property as raw land and subsequently fully permit it. This particular site required close coordination between Gentry/Equity and the City of St Cloud and the Tohopekaliga Water Authority to negotiate an interlocal agreement for utilities and also negotiated a development agreement with Osceola County to provide mobility fee credit reimbursements for offsite road improvements. Gentry/Equity negotiated the sale of the entire property to a national homebuilder, who is developing the site into residential homesites.
The Preserve at Turtle Creek
The Preserve at Turtle Creek is an 83-acre development with 269 single-family lots. For this project, Gentry Land Company partnered with Equity Investments to buy, develop and sell the development, providing asset management services for this localized development opportunity. Gentry was responsible for negotiating contracts for the sale of all lots to three builders.
Waters Edge
Waters Edge is a 75-acre property with 143 single-family lots located in Apopka, FL. For this property, Gentry Land again partnered with Equity Investments to purchase the property as raw land from a previous land investor. Gentry/Equity successfully entitled the property for 60’ and 70’ wide single family residential lots. Gentry/Equity negotiated the sale of the entire property to a national homebuilder, who subsequently developed the site into residential homesites.
Oak Tree Pointe
When the original owners of this 20-acre St. Cloud, Florida property at Oak Tree Pointe came to Gentry Land, they were highly motivated to sell their property in order that they could retire in the Midwest. They had multiple bids from other land developers to purchase the land, but actively sought the counsel of Gentry Land because they knew they could trust the Gentry Land team to secure the best possible deal for their asset. Gentry Land, in partnership with Equity Investments, entitled, and developed 100 duplex villa residential lots and subsequently sold the development to a local builder who is actively selling homes at this time.
Terra Vista
Gentry Land Company, in partnership with Equity Investments, completed land development services for this 24-acre project in St. Cloud, Florida. Comprised of 72 single-family home lots, Gentry Land purchased, entitled, developed and sold this development to a local builder that is actively selling homes in the community at this time.
Spring Lake at Celebration
For this project, Gentry Land was hired by David Weekley Homes to perform construction management services in the community. Spring Lake at Celebration is a 40-acre, high-density neo-traditional residential community near Disney World, and Gentry Land provided construction planning and development consulting services in this community. This project has required an extensive knowledge and management of Community Development District (CDD) services, as Gentry Land worked closely with Osceola County Government, the community homeowner’s association, the Enterprise Community Development District, and the Celebration Community Development District to responsibly manage and grow the community.
In addition to the projects and service listed above, a representative list of Gentry Land Company’s previous and current clients include
- Wheelock Street Capital
- Equity Investments
- A&M Homes
- David Weekley Homes
- Dream Finders Homes
- KB Home
- K Hovnanian Homes
- Lennar Homes
- MI Homes